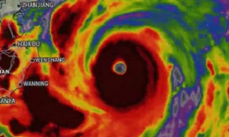
Hong Kong se priprema za dolazak supertajfuna Ragasa – najsnažnijeg tropskog tajfuna u svijetu ove godine. Zbog njegovog približavanja, zatvorene su škole,...
Vlasti Hong Konga izdale su u nedjelju najviši nivo upozorenja zbog tajfuna Wipha, koji je donio snažne vjetrove i obilne padavine širom...
Broj mrtvih u Vijetnamu od tajfuna Yagi i klizišta i bujičnih poplava koje je izazvao porastao je u četvrtak na 226, saopćila...
Snažni vjetrovi i jaka kiša zbog super tajfuna Yagi zapljusnuli su danas južnu Kinu, gdje su škole zatvorene drugi dan zaredom, a...
Najmanje šest osoba je poginulo dok tajfun Shanshan danas prolazi kroz Japan prema istoku, pri čemu su velika područja pogođena obilnim kišama...
Najmanje šest osoba je poginulo dok tajfun Shanshan danas prolazi kroz Japan prema istoku, pri čemu su velika područja pogođena obilnim kišama...
Gotovo 8.000 ljudi evakuisano je u kineskom gradu Junfu, u pokrajini Guangdong, usljed poplava koje je izazvao supertajfun "Saola", saopštile su gradske...
Gotovo 3 tisuće ljudi je evakuirano, a svi domaći letovi su otkazani, dok se Tajvan u nedjelju priprema za dolazak tajfuna Haikui...
Vlasti su izdale upozorenja za poplave i klizišta, a formirala su se i tornada.
Vlasti Japana naredile su evakuaciju 138.700 ljudi u južnim prefekturama, usljed opasnosti zbog snažnog tajfuna "Mavar", koji se probližava jugoistočnoj obali, javio...