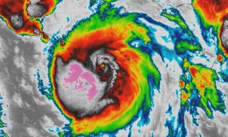
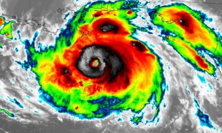
Uragan Melissa nastavlja ostavljati trag smrti i razaranja u Karibima, nakon što je u utorak pogodila Jamajku kao jedan od najjačih atlantskih...
Oluja Melissa stigla je na Kubu u srijedu ujutro kao "izuzetno opasan" uragan 3. kategorije, nakon što je uništila Jamajku kao jedan...
Iznimno snažan uragan Melissa kreće se prema Kubi nakon što je u utorak pogodio Jamajku, opravdajući činjenicu da je to najsnažnija oluja...
Meteorolozi upozoravaju da sporo kretanje uragana znači da će snažne kiše i vjetrovi duže trajati, povećavajući rizik od razornih poplava i klizišta
Opasan uragan Erick dosegnuo je jačinu četvrte kategorije na Saffir-Simpsonovoj ljestvici od maksimalno 5 dok se tijekom dana približava pacifičkoj obali južnog...
Stručnjaci za divlje životinje na Floridi upozorili su lokalno stanovništvo u oblastima pogođenim uraganima Helen i Milton da izbjegavaju mračne vode zbog...
Uragan Leslie nad Atlantikom približava se zapadnoj obali Europe. Očekuje se njegov utjecaj na vrijeme u Portugalu i Španjolskoj početkom idućeg tjedna.
Pri povratku stanovnika Floride nakon evakuacije zbog oluje stvorile su se saobraćajne gužve
Stadion Tampa Bay Reysa poznat kao Tropicana Field ostao je bez krova tokom naleta uragana Milton koji je u noći između srijede...
Oni koji su otišli ostavili su sve svoje stvari i svoje domove, znajući da im se možda nikada neće vratiti...